Numer oferty:
427 479


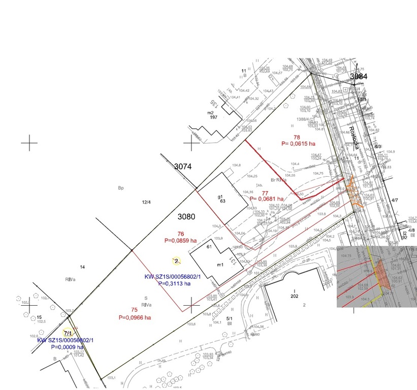
Do sprzedania działka budowlana położona w bardzo atrakcyjnym miejscu na Warszewie w Szczecinie z dojazdem od ul. Rostockiej.Na zdjęciu nr2 pokazana jest przedmiotowa działka . Jest to czwarta działka od ul. Rostockiej za działką zabudowaną domem.Na terenie na którym znajdują się działka obowiązuje Miejscowy Plan Zagospodarowania Przestrzennego, który m.in. określa następujące warunki dla tych działek:Zabudowa jednorodzinna.Minimalny udział terenu powierzchni biologicznie czynnej : minimalnie 50% powierzchni działki budowlanej.Nieprzekraczalne linie zabudowy oznaczone na rysunku planuMaksymalna powierzchnia zabudowy na działce budowlanej 30%Maksymalna wysokość budynków mieszkalnych 3 kondygnacje naziemne , w tym 3 kondygnacja użytkowa w stromym dachu nie więcej niż do wysokości 12 m liczonej do kalenicyForma budynków -wolnostojąceBudynki kryte dachami stromymiZakaz zmiany kompozycji budynku historycznego oznaczonego na rysunku planu (budynek gospodarczy)-Jest pozwolenie na wyburzenie tego budynku.Zapraszam na prezentacjęOferta biura nieruchomości*powyższe informacje zostały sporządzone na podstawie oświadczeń i nie są ofertą w rozumieniu przepisów prawa - zalecamy ich osobistą weryfikację.
