
Numer oferty: 437 515

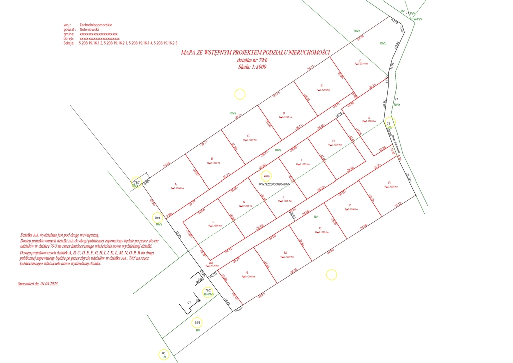
Sprzedam grunt o pow blisko 3ha z możliwością podziału na mniejsze. Działka położona w miejscowości Brzozowo pomiędzy Goleniowem i Wolinem. Działka sucha, równa.Cena 21zł za metr kw. do negocjacjiW sąsiedztwie nowa zabudowa.Idealna propozycja pod inwestycję. Idealna pod fotowoltaikę*powyższe informacje zostały sporządzone na podstawie oświadczeń i nie są ofertą w rozumieniu przepisów prawa - zalecamy ich osobistą weryfikację.

![]() |
Kalkulator opłat dodatkowych |
![]() |
Drukuj tę ofertę ze zdjęciami |
![]() |
Drukuj tę ofertę z miniaturkami |
![]() |
Drukuj tę ofertę bez zdjęć |

| miejscowość: | BRZOZOWO |
|---|---|
| rodzaj działki: | BUDOWLANA |
| cena ofertowa PLN: | 590 000 |
| pow. działki [m²]: | 27 300 |
| cena ofertowa za 1 m2: | 21,61 |
| przeznaczenie w planie zagosp.: | Tereny zabudowy mieszkaniowej |
| forma własności działki: | WŁASNOŚĆ |
| droga dojazdowa: | UTWARDZONA |

| Centrum Nieruchomości |
![]() |
![]() edyta@cn.info.pl |

















